Due to the miracles of modern science, we now have confirmation that Gael has hips and elbows! More importantly, functional hips and elbows! This is what the all-important x-rays conducted at 2 year of age confirm. These tests catch hip and elbow dysplasia, and any other skeletal abnormalities in these joints.
Gael just has her hips and elbows done at Companion Veterinary Clinic in Clearview, WA. This clinic was offering a health clinic with great prices for many standard tests, including hips, elbows, patella, thyroid, heart and eyes. Gael was able to complete her x-rays without sedation, which amazes me when she’s such a wildchild. Here’s her hip x-ray, for those who get as obsessed with these x-rays as I do.
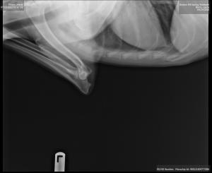
These hips look good! I don’t know everything to look for, but I see deep, tight sockets with no signs of arthritis or other “bony changes.” They look great to me, with my layperson’s eye, and the vet agreed. Here is one of her elbow x-rays, although I have less of an idea of what to look for here:
Now we wait for OFA (Orthopedic Foundation for Animals) to have their say. But no matter what, I’m assured I have a sound animal, capable of many years of activity, at least as far as her skeleton is concerned. Dr. Ericson and his staff at Companion Veterinary Clinic do a super job!


Leave a comment